李其纲-重庆松藻煤矿事故37名公职人员被追责:事故造成16死42伤
来源:风正巴渝
重庆能投渝新能源有限公司松藻煤矿
“9·27”重大火灾事故调查报告
9月27日0时20分,重庆能投渝新能源有限公司松藻煤矿井下二号大倾角胶带运煤上山发生重大火灾事故,造成16人死亡、42人受伤,直接经济损失2501万元。
事故发生后,党中央、国务院高度重视,习近平总书记作出重要批示,韩正副总理、刘鹤副总理、王勇国务委员等领导同志分别作出批示。应急部党委书记黄明、国家煤监局局长黄玉治进行视频指挥调度,国家煤监局副局长宋元明率工作组赶赴现场指导救援处置工作。重庆市委、市政府坚决贯彻落实习近平总书记重要批示精神,陈敏尔书记、唐良智市长第一时间率有关市领导和市级有关部门赶赴现场指挥救援,多次研究部署事故调查及加强全市安全稳定相关工作。
依据国家有关法律法规,成立了重庆煤监局为组长单位,市应急局、市公安局、市国资委、市能源局、市总工会和綦江区政府为成员单位,并聘请有关专家参与的事故调查组,具体负责事故调查工作。重庆市纪委监委成立了松藻煤矿“9·27”重大安全事故审查调查组,同步开展相关工作。
事故调查组坚持“科学严谨、依法依规、实事求是、注重实效”的原则,通过现场勘查、取样检测、调查取证、调阅资料、人员问询、专家论证等,查明了事故经过、原因、人员伤亡情况和直接经济损失等,认定了事故性质和事故责任,提出了对事故单位处理及防范措施建议,重庆市纪委监委提出了对有关责任人员的处理意见。
一、事故煤矿概况
(一)矿井基本情况
重庆能投渝新能源有限公司松藻煤矿(以下简称松藻煤矿)位于重庆市綦江区,隶属于重庆市能源投资集团有限公司(以下简称重庆能投集团)所属重庆能投渝新能源有限公司(以下简称渝新能源公司),经济性质为国有。现有员工1697人,核定生产能力110万吨/年,2020年计划生产原煤100万吨,1—9月生产原煤78.65万吨。事故发生前煤矿处于正常生产状态,属证照齐全的生产矿井。
(二)煤矿安全管理机构情况
煤矿配备有党委书记、矿长、党委副书记、总工程师、生产副矿长、安全副矿长、机电副矿长、经营副矿长,配备了生产、技术、安全、通风、抽采、机电、地测副总工程师。设置有生产技术科、安全监察科、通风科(下设防突组)、瓦斯抽采科、地质测量科、机电运输科、调度室等7个安全生产科室,设有5个采煤队、5个掘进队、机电一队、机电二队、运输队、通风队、抽采队、准备队等16个基层连队,制定了各职能科室和基层连队负责人岗位责任制,明确了安全生产工作职责。
(三)矿井开采条件
松藻煤矿井田面积14.8612 k㎡,开采K1、K2b、K3b煤层,倾角20°—40°,属无烟煤。K1平均煤厚0.97m、K2b平均煤厚0.56m、K3b平均煤厚2.49m;现有可采储量3946万吨,剩余服务年限25.6年;矿井为煤与瓦斯突出矿井,2019年测定矿井相对瓦斯涌出量64.42m3/t、绝对瓦斯涌出量122.94m3/min;开采煤层为自燃煤层,煤尘无爆炸危险性。
(四)开拓部署及生产系统现状
矿井开拓方式为平硐斜井混合开拓,各水平主要巷道布置在K1煤层以下茅口岩层中,通过阶段巷道、石门依次进入各煤层,布置采区和工作面。矿井共划分3个水平:一水平+335m、二水平+100m、三水平–300m。目前,一水平及二水平一采区已回采完毕,生产区域集中在二水平二采区及三水平。矿井布置有5个综采工作面,分别为二水平二采区2324-1工作面、三水平一采区3311N工作面和3213S工作面、三水平二采区3222S工作面、三水平三采区3231S工作面。
矿井通风方式为两翼对角式,通风方法为抽出式,总进风量20890m3/min、总回风量21698m3/min。现有4个进风井和2个回风井。采用三级排水系统。原煤采用带式输送机连续化运输,通过采面运输巷、各区段巷、大倾角运煤上山到二水平运煤大巷,经主斜井、栈桥至地面煤仓。矸石采用串车提升。矿井安装有KJ90X型煤矿安全监测监控系统、KJ69N型人员位置监测系统。矿井压风自救系统供风取自地面和三水平压风机房。调度总机为510门KTJ113型调度交换机,其中地面50门、井下460门。
二、事故区域情况
(一)事故地点情况
事故地点位于二号大倾角胶带运煤上山,该上山斜长919m、倾角28°、断面12.032㎡。服务于三水平一、二、三采区,具体有3222S采煤工作面、3231S采煤工作面、3311N采煤工作面、3213S采煤工作面、3233N运输巷掘进工作面、3312N回风巷掘进工作面、3312N运输巷掘进工作面。
该运煤上山安装焦作市科瑞森机械制造有限公司生产的DTC100/35/2450S型胶带输送机(适用于30°以下的大倾角巷道,符合设计规范),使用沈阳沈桥胶带制造有限公司生产的ST/S 2500-1000×(8+7.2+8)型号钢丝绳芯阻燃花纹输送带。
该输送机卸载滚筒下方安设有堆煤传感器、上方安设有洒水装置,沿线安设有语音通讯信号装置、拉线急停闭锁装置,机头和机尾等处安设有跑偏传感器,驱动滚筒下风侧10m处安设有烟雾传感器,驱动滚筒、改向滚筒及盘式制动器安设有温度传感器,驱动滚筒上方安设有电动阀洒水装置,驱动滚筒附近安设有速度传感器,+5m煤仓受煤点处安设有撕裂保护,机尾张紧小车上方安设有张紧力下降限位保护。
经专家分析,烟雾传感器未报警的原因为传感器的通讯线缆在达到报警值之前被高温气流烧坏,或者在事故前已经失效。其它保护装置在火灾中烧毁,不能查证在事故中是否发挥作用。
(二)现场勘查情况
1.通风构筑物破坏情况。二号大倾角胶带运煤上山回风与+175m进风大巷联络巷安设两道金属骨架木质风门,两道风门间距19m。第一道风门高和宽均为2.5m,距+175m进风大巷2m,风门完好,未见过火痕迹,被火风压冲开后紧贴巷壁;第二道风门位于二号大倾角胶带运煤上山回风30m处,烧毁仅剩金属骨架。二号大倾角胶带运煤上山回风控风墙过火痕迹明显,墙体受损。二号大倾角胶带输送机控制硐室与+100m转运胶带联络巷风门材质为金属铁皮,距+100m转运胶带5m,风门高3.1m,宽2.7m,风门上方开有1.5m(宽)×0.4m(高)风窗,风流反向后进入+100m转运胶带并向+100m茅口巷方向运移至N3运煤上山,导致该处胶带司机遇难。
2.二号大倾角胶带、控制硐室、+100m转运胶带巷及+5m给煤机烧毁情况。机头硐室处胶带燃烧只剩下钢丝绳,胶带烧完(钢丝裸露、断开);+5m联络巷上方18m处胶带接头断开,胶带烧完(钢丝裸露、断开);主动滚筒包覆层炭化,胶带机头硐室机油桶完好,大倾角胶带巷线缆表面橡套烧失,露出铠装层,洒水装置烧毁;+100m转运胶带巷胶带烧毁100余m,仅见胶带钢架。
3.二号大倾角胶带运煤上山控制系统烧毁情况。带式输送机驱动硐室内综合保护控制器等装置全部烧毁;带式输送机烟雾传感器、温度传感器、防撕裂传感器、防打滑传感器、防跑偏传感器、堆煤传感器、输送机洒水装置、语音信号通信装置、拉线急停闭锁装置、断带抓捕装置、输送机视频摄像头、驱动滚筒洒水装置等均被烧毁;驱动硐室内电源开关电缆表面碳化;输送机钢丝绳芯在线检测仪烧毁。
4.事故区域管线及CO传感器烧毁情况。+175mN1#石门处电缆线盒烧毁;2324-1采煤工作面进风安装有风速风向传感器、高低浓度甲烷传感器、一氧化碳传感器,传感器因工作面停电而停止运行,未见损坏;二号大倾角胶带巷与+5m主要进风巷交叉口烟熏痕迹明显,监控线缆燃烧炭化痕迹明显。
5.二号大倾角胶带运煤上山起火点及附近情况。–75m联络巷上方25m回程托辊处线缆未见明显过火,回程胶带钢丝绳断裂、燃烧痕迹明显;火源点胶带燃烧痕迹分界线明显,火源点上方胶带挡煤护板(胶带板)燃烧痕迹分界线明显;原躲身硐室(胶带侧)2.5m(长)×1.8m(高)×2m(深),未见可燃物;现场勘查发现起火点位于–75m联络巷上方25m,附近有4根回程托辊卡死,其中3根被磨穿的回程托辊中2根内部沉积粉煤,1根内部无积尘、无水、无渣(内部积尘被烧失,确认为起火点),另1根上表面有被磨平情况。回程托辊规格尺寸为:133×1150,管径133mm,壁厚4mm,材质为20#钢管;–75m联络巷到+5m联络巷区间大倾角运煤上山内胶带输送机巷帮和胶带下方,大量煤矸堆积;起火点回程托辊上方5m处为上、下行胶带断开位置,断开位置以上行胶带燃烧后仅剩钢丝绳,上、下行胶带钢丝绳断口明显;上行胶带断落后,下端掉到–150m联络巷附近挤压堆积,下方胶带未燃烧;下行胶带掉落到–75m联络巷位置以下,下段下行胶带未燃烧;起火点回程托辊内侧钢丝绳橡套有明显小缺口,该处正对一躲避硐室,硐室内可燃杂物均无燃烧、过火痕迹,该处以上5m内燃烧过火情况明显存在分界痕迹。
6.事故区域压风自救系统及压缩氧自救器情况。+175m进风大巷N2#副石门至2324-1采煤工作面胶带运输巷机头为2324-1采煤工作面进风及胶带运输,现场未见燃烧痕迹,该工作面及石门区域每隔50m安设一组压风自救装置,每组5或6个,其中一组装置中两个呼吸器管路扭接无压风,其余呼吸器能正常使用;2324-1采煤工作面进风石门发现5台ZYX45隔绝式压缩氧自救器已使用,4台未打开使用;现场未见N3运煤上山燃烧痕迹,安设有压风自救装置,+100m转运胶带巷风流反向后进入+100m茅口巷运移至N3运煤上山导致该处胶带司机遇难。
7.其他情况。二号大倾角胶带巷–75m—–225m段未见燃烧痕迹,仅见底板部分浮煤浮矸,机尾堆积下滑的未着火胶带磨损痕迹明显,胶带巷浮煤浮矸堆积,–75—+5m段尤其突出;–225m机尾段未见燃烧痕迹,仅见底板部分浮煤浮矸;胶带因断裂下滑至机尾,导致机尾座下滑10余m;现场可见胶带磨损痕迹。

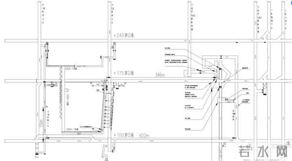
图1 事故区域示意图

(三)输送机胶带情况
经查《产品买卖合同》,该运煤上山使用沈阳沈桥胶带制造有限公司生产的ST/S 2500–1000×(8+7.2+8)型号钢丝绳芯阻燃花纹输送带,煤矿安全标志证书编号MIB070213,有效期为2015年6月30日至2020年6月30日。该胶带于2018年7月27日购买,于2019年1月5日投入使用,至事故发生时已使用20个月。
事故发生后,事故调查组在事故现场对二号大倾角胶带运煤上山–75m以下未燃烧的部分裁取2份样本,委托国家煤矿防尘通风安全产品质量监督检验中心鉴定胶带的合格性能。其中一份样本检验报告(No. DF20206401)结果为“滚筒摩擦试验”不合格,另一份样本检验报告(No. DF20206402)结果为“滚筒摩擦试验”“酒精喷灯燃烧试验”不合格。
(四)事故区域概况
事故受灾区域及波及范围主要包括2324-1采煤工作面、二采区N3#运煤上山、三水平二号大倾角胶带运煤上山、三水平三采区+5mS边界石门及+5m主要进风巷、三水平二号大倾角胶带运煤上山+5m煤仓、–75m煤仓、–150m煤仓及联络巷。
事故死亡人员主要为2324-1采煤工作面作业人员。该采面开采K3b煤层,属于被保护层工作面,位于二水平二采区+175m至+240m区段的N2#下座石门至N4#石门之间,走向长度572m,倾斜长度133—141m,平均138m,煤层倾角33—35°,平均34°,煤厚2.0—3.3m,平均2.5m。该工作面具有独立的通风系统,全负压U型通风,安设有CH和CO传感器,在进风巷安设有6组压风自救器。自2019年11月开始回采,至2020年9月26日,工作面回风巷剩余65m、运输巷剩余42m。
事故当班(2020年9月26日22时至27日6时),2324-1采煤工作面出勤18人,9月26日21时入井。该班值班队干高林平、跟班队干林洪军和白朝海,主要工作是割煤、调整工作面支架。
三、煤矿上级公司情况
(一)重庆能投集团
重庆能投集团由原重庆煤炭(集团)有限公司、重庆市建设投资公司、重庆燃气集团有限责任公司,于2007年整合组建而成,是集能源投资、开发、建设、运营、服务为一体的大型市属国有重点企业。
集团公司设有董事长、总经理、监事会主席、副总经理、财务总监、工会主席、纪委书记等10名领导班子成员,其中安全副总经理1名,分管安全和科技工作;配备有2名副总工程师,1名分管安全工作,1名分管科技工作;设置了安全监督管理部,定员10名、在岗10人,负责集团安全监督管理和科技信息化管理工作。集团公司下设渝新能源公司、商贸有限公司等15家子、分公司。
(二)渝新能源公司
1.公司由来。2017年9月7日,重庆市国有企业和完善基本经济制度专项改革小组第7次全体会议审议通过了重庆能投集团《深化改革转型发展方案》。2017年12月28日,重庆市国资委《关于同意设立重庆能投渝新能源有限公司的批复》(渝国资〔2017〕687号)批准重庆能投集团设立渝新能源公司。
2.公司性质及所属企业。渝新能源公司是一家国有法人独资公司,注册资本30亿元,是集煤炭、电力生产和销售为一体的新型综合能源企业,现有清洁能源公司、松藻电力公司、售电公司和12个生产煤矿(含松藻煤矿)等25家生产经营单位。煤炭产能1030万吨/年。
3.公司持证情况。2017年12月28日取得营业执照,营业期限2017年12月28日至永久,法定代表人杨祖洪,企业统一信用代码91500222MA5YPXJC27。2018年5月18日取得安全生产许可证,编号(渝)MK安许证字〔2018〕1800001。
4.公司机构设置和人员配备。公司配备了董事长、总经理、监事会主席、纪委书记、工会主席和副总经理等共10名领导班子成员,设置了综合办公室、生产技术部、机械动力部、安全监督管理部等17个机关工作机构,下设3个片区安全管理中心。
(三)松藻安全管理中心
1.中心的由来和职能职责定位。松藻安全管理中心前身为2018年1月设立的松藻管理中心。2020年1月,变更为松藻安全管理中心(以下简称松藻中心)。所辖范围内的煤矿有松藻煤矿、打通一矿、石壕煤矿、渝阳煤矿、逢春煤矿5对矿井,核定生产能力共计650万吨/年。2020年3月,渝新能源公司印发的《关于安全管理中心授权定位、所辖范围及职能职责的通知》(渝新能源发〔2020〕159号)明确,松藻中心经渝新能源公司授权,作为公司派驻的区域性安全监管机构,代表公司行使安全监管职能职责,是公司内部对辖区煤矿安全监管的主体,对本辖区煤矿安全负监管责任。
2.中心的机构设置和人员配备。中心现有在编人员26人,下设3个处,其中:综合处7人,主要负责督促所辖煤矿安全管理机构设置、人员配备、基础资料管理、应急救援、安全培训、综合办公等;监管一处7人,负责采掘顶板、机电运输、雨季“三防”安全监管;监管二处8人,负责“一通三防”、地测防治水安全监管。
四、事故发生、报告、抢险救援及善后处理情况
(一)事故发生经过
9月27日夜班,矿井374人入井,安全副矿长陈治昆下井带班。事故当班,机电一队安排桂焕学等7人在二号大倾角胶带运煤上山–150m至–75m段安装溜槽、清理浮煤,邓小彬负责二号大倾角胶带输送机运转监护。事故当班井下其它主要作业地点有:2324-1、3231S、3222S、3213S等4个采煤工作面割煤作业,3311S采煤工作面安装作业,3311N采煤工作面施工锚网梁索、补设挡矸网等预处理作业;五六区主要回风巷、三号人行下山上平巷等11个地点掘进作业;3223N运巷9#钻场、3232N风巷3#钻场等8个地点施工瓦斯抽采钻孔作业。
9月26日22时34分,二号大倾角胶带开机运行。27日0时19分,二号大倾角胶带输送机运转监护工邓小彬(在事故中死亡)发现胶带存在问题(电话录音中未说明具体问题),电话通知地面集控中心值班员张娜停止二区大倾角胶带运行。0时20分,向机电一队值班副队长王安伟电话报告二号大倾角运煤上山下方正在冒烟,将前去查看。0时21分,通风调度值班员孙春苗听见安全监控系统发出报警语音,发现+5m煤仓上口CO超限达154ppm并快速上升至1000ppm,即向矿调度值班员余吉斌报告,余吉斌随即电话通知集控中心值班员张娜停止大倾角胶带输送机运行(此前已停机)。其看见监控+5m转载点视频呈白雾状,立即电话询问在+5m煤仓上口附近检修采煤二队(3231S采面)液压泵的司机曹东。曹东目视有黑色烟雾从+5m煤仓涌出至3231S采煤工作面,同时听见+5m煤仓上口的CO传感器持续报警,便在电话中告知“CO超标”后中断通话,立即打电话通知采煤二队(3231S采面)撤人,但由于采煤二队电话无人接听,遂用语音信号机通知工作面撤人。此后,井下工人桂焕学在–150m电话汇报二号大倾角胶带运煤上山中上部有明火,余吉斌安排其迅速联络跟班队干撤人,同时向值班调度长梁邦彬报告了事故情况。梁邦彬接到电话报告后,立即赶到调度室指挥余吉斌通知井下所有区域撤人,并依次向值班矿领导张泽、机电副矿长邱伍清、矿长李其纲等人电话报告事故情况。余吉斌向梁邦彬报告事故后,电话通知距离采煤二队3231S采面最近的液压泵司机曹东迅速通知撤人,但由于电话已无人接听,遂拨打采煤二队工作面电话,此时正在回风巷的工人张波接到电话后迅速和工友撤离。余吉斌向井下带班矿领导陈治昆电话报告事故后,连续拨打采煤三队(2324-1工作面)电话,但由于一直无人接听,遂紧急通知采煤三队地面值班人员电话通知工作面撤人,随后相继通知井下其它区域撤人,并召请松藻矿山救护大队到矿救援。0时40分至1时,矿领导及相关部门负责人先后赶到调度室,成立了事故救援指挥部,启动应急救援预案,清点井下人员,准备井下人车等应急救援工作。截至9月27日10时15分,事故当班入井的374人中358人陆续从5号进风井、+335m主平硐出井;截至13时51分,16名遇难者全部运送至地面。
(二)事故报告经过
松藻煤矿于1时09 分向松藻安全管理中心、1时20分向渝新能源公司报告事故情况,于5时20分向渝南监察分局、5时28分向綦江区应急局报告事故情况。
渝新能源公司于3时10分向重庆能投集团、于4时41分向重庆煤矿安监局报告事故情况。重庆能投集团于4时51分分别向重庆煤矿安监局和市应急局、于5时06分向市国资委、于6时23分向市委、市政府报告事故情况。
按照《生产安全事故报告和调查处理条例》(国务院令第493号)第二章第九条:“单位负责人接到报告后,应当于1小时内向事故发生地县级以上人民政府安全生产监督管理部门和负有安全生产监督管理职责的有关部门报告”的要求,松藻煤矿没有在规定时限内报告事故。
(三)抢险救援情况
2020年9月27日1时05分,渝新能源公司松藻矿山救护大队值班员唐谊接到松藻煤矿调度员余吉斌的事故召请电话,松藻大队大队长穆安彬立即带领3个救护小队23名指战员赶赴松藻煤矿。1时30分,第一批3个小队入井侦查搜救;2时40分,在+5m进风巷2#人行上山吊挂人车处发现7名遇险人员,救护队员立即开展紧急救治,并于4时10分将伤员搬运出井。随后,救援指挥部组织松藻、南桐矿山救护大队共15个小队分三批先后入井到达–75 m 标高二号大倾角皮带运煤上山及相邻区域,从下往上开展灭火搜救, 先后搜救、组织撤离78人安全出井。7时35分,成功关闭+175m茅口巷与2#大倾角运煤上山联络巷的风门,在+175m茅口巷侦查发现3名遇难人员;8时05分,在+175m茅口巷胶带输送机机头以南发现1名遇难人员;其后在+175m茅口巷2#石门皮带巷发现10名遇难人员和1名遇险人员,遇险人员于10时15分运送出井。12时30分,在二号大倾角胶带上山+5m至+80m段搜寻到1名遇难人员;12时42分,在二区+100mN3#皮带上山机头处搜寻到1名遇难人员。至此,所有被困人员全部搜寻完毕。13时51分,救护队将遇难的16名矿工全部运送出井,事故现场抢险救援工作结束。
此次事故救援共出动松藻和南桐2支救护大队共18个小队、130名救护指战员,经过12小时46分全力灭火、救援,共搜救和组织撤离遇险人员86名,搜救遇难人员16名。
(四)事故伤亡情况
经调查核实,事故共造成16人死亡、42人受伤。根据2020年10月17日重庆市綦江区公安局物证鉴定所出具的《鉴定书》〔綦公鉴(病理)〔2020〕0034〕,死者邓小彬尸体符合生前烧死,其他15名人员尸体符合一氧化碳中毒死亡。
(五)善后处理情况
事故发生后,截至2020年10月6日,16名遇难矿工善后事宜已全部处理完毕;受伤人员中38人已出院、住院4人病情平稳,矿区社会秩序稳定。
五、事故原因和性质
(一)事故直接原因
松藻煤矿二号大倾角运煤上山胶带下方煤矸堆积,起火点–63.3m标高处回程托辊被卡死、磨穿形成破口,内部沉积粉煤;磨损严重的胶带与起火点回程托辊滑动摩擦产生高温和火星,点燃回程托辊破口内积存粉煤;胶带输送机运转监护工发现胶带异常情况,电话通知地面集控中心停止胶带运行,紧急停机后静止的胶带被引燃,胶带阻燃性能不合格、巷道倾角大、上行通风,火势增强,引起胶带和煤混合燃烧;火灾烧毁设备,破坏通风设施,产生的有毒有害高温烟气快速蔓延至2324-1采煤工作面,造成重大人员伤亡。

图2 被磨穿、卡死的回程托辊 1(内部沉积粉煤)

图3 被磨穿、卡死的回程托辊 2(内部沉积粉煤)

图4 起火点回程托辊

图5 事故前机电一队反映胶带磨损情况

图6 现场勘查发现胶带表面磨损钢丝绳裸露情况
(二)事故间接原因
1.矿井重生产轻安全。松藻煤矿二号大倾角胶带于2019年1月更换投入使用,该皮带实际使用了1年零8个月就磨损严重,该皮带承担矿井4个回采工作面的煤炭运输任务,为不影响矿井正常生产,该矿计划在国庆节停产检修期间更换。2020年9月2日,机电一队队长通过煤矿OA办公系统向煤矿机电副矿长、机电副总工程师、机电运输科科长等相关人员书面报告了二号大倾角胶带巷浮煤多,回程托辊、上托架损坏变形严重等问题和隐患,但相关人员并未立即回复。9月3日,机电一队队长通过煤矿OA办公系统向矿长反映相关问题和隐患后,机电一队队长和支部书记又当面向机电副矿长、矿长报告了上述问题和隐患[1]。9月5日,煤矿矿长召集机电副矿长等到二号大倾角胶带运煤上山召开现场会,决定对二号大倾角胶带运煤上山进行整治,但要求整治工作不能影响胶带运煤;9月6日,机电副矿长再次到现场召开会议,研究落实整改工作。但矿级领导红线意识缺失、重生产轻安全,均未实施停产整治,致使胶带机巷隐患未彻底消除,导致事故发生[2]。
2.矿井安全管理混乱。二号大倾角运煤上山胶带防止煤矸洒落的挡矸棚日常维护不及时,变形损坏,导致皮带运行中洒煤严重,又未及时清理,造成皮带下部煤矸堆积多、掩埋甚至卡死回程托辊,少数回程托辊被磨平、磨穿,已磨损严重的皮带与卡死的回程托辊滑动摩擦起火[3];松藻煤矿没有按规定检查皮带下方的浮煤堆积、金属挡矸棚损坏等情况,业务保安不到位[4]。对该皮带巷长期存在的问题,煤矿安全检查人员未及时发现消除隐患,致使皮带长时间“带病”运行[5]。应急救援装备可靠性差,经事故区域现场勘查,压风自救装置存在面罩供气管过软,易老化、扭结等情况,1组压风自救装置供气管路有积水;已使用的12台压缩氧自救器中,1台开关损坏,3台漏气,2台压力表损坏[6]。
3.松藻安全管理中心安全监督管理责任不落实。安全风险分析辨识和评估不全面,未对矿井胶带输送机胶带火灾风险进行分析研判[7]。对矿井安全监督管理不到位,隐患排查治理不深入,安全检查不全面、针对性不强,今年以来,松藻中心对松藻煤矿开展检查90次,均未到二号大倾角运煤上山检查[8]。渝新能源公司所属其它煤矿发生胶带输送机断带事故后,公司在事故通报中要求中心将钢丝绳芯胶带输送机纳入督查范围,但中心未按公司通报要求对二号大倾角运煤上山钢丝绳芯胶带输送机进行检查[9]。
4.渝新能源公司安全管理弱化。公司业务部门和安全管理中心管理职责不清晰,权责不统一,造成安全责任不落实[10]。近年来事故多发,吸取事故教训不深刻,未采取有效措施加强和改进煤矿安全生产工作[11]。机运安全管理制度不完善,未认真督促煤矿全面开展隐患排查治理,致使胶带输送机浮煤矸堆积、托辊损坏、胶带磨损严重等隐患未及时消除[12]。公司所属其它煤矿发生胶带输送机断带、断轴事故后,虽然下发了事故通报,但未举一反三全面排查整治胶带输送机事故隐患[13]。
5.重庆能投集团督促煤矿安全生产管理责任落实不到位。集团对煤矿安全实行四级管理,职能交叉、职责不清,责任落实层层弱化[14];近年来煤矿事故多发,吸取事故教训不深刻,未按集团规定正常召开安全生产例会,未认真分析解决安全生产被动局面的系统性问题和深层次矛盾[15];对渝新能源公司煤矿安全工作疏于管理,对近年来发生的重伤或者重大非伤亡及以上事故未按照集团规定[16]对二级公司进行通报问责。经营指标下达不合理,矿井生产头面多[17]。
6.带式输送机使用的胶带质量不合格。经对事故地点的胶带取样送检和对胶带采购环节专项调查,该胶带为假冒伪劣产品;重庆能投集团物资有限责任公司存在物资采购制度不健全、采购询价和交货验收违规等问题。
7.属地管理及监管监察工作效能不高。对重庆能投集团吸取事故教训不深刻、安全责任逐级弱化等问题督促不够,督促指导煤矿企业安全风险研判和隐患排查治理不够全面,推动煤矿企业落实安全生产主体责任不够有力[18]。
(三)事故性质
经调查认定,重庆能投渝新能源有限公司松藻煤矿“9·27”重大火灾事故是一起生产安全责任事故。
六、对事故有关责任人员及责任单位的处理建议
对于在事故调查中发现的有关地方党委政府、相关部门和国有企业公职人员履职方面的问题,已移交重庆市纪委监委松藻煤矿“9·27”重大安全事故审查调查组。对于有关人员的党纪政纪处分和有关单位的处理意见,由重庆市纪委监委提出;涉嫌刑事犯罪人员,由重庆市纪委监委移交司法机关处理。对事故责任单位和有关责任人员,依据《中华人民共和国安全生产法》等有关法律法规规定给予行政处罚。松藻煤矿安全生产管理混乱,隐患排查治理不到位,重生产轻安全,造成16人死亡、42人受伤、直接经济损失2501万元的重大事故,依据《生产安全事故罚款处罚规定(试行)》第十六条第(二)项、第十八条第(三)项的规定,建议对松藻煤矿罚款300万元,对该矿矿长处上一年年收入60%的罚款。对事故迟报违法行为,依据《生产安全事故罚款处罚规定(试行)》第十一条第(二)项的规定,建议对该矿矿长处上一年年收入60%的罚款。依据《对安全生产领域失信行为开展联合惩戒的实施办法》(安监总办〔2017〕49号)第二条第(一)项、第(六)项和第三条的规定,建议将松藻煤矿及其主要负责人纳入联合惩戒对象和安全生产不良记录“黑名单”管理。
对胶带质量不合格问题,依据《生产安全事故报告和调查处理条例》(国务院令第493号)第二十六条规定,已移送公安机关立案处理。
七、对事故防范措施的建议
(一)深入学习贯彻习近平总书记关于安全生产的重要批示指示精神,牢固树立安全发展理念。各产煤区县党委、政府及有关部门、煤矿企业要结合当前煤矿安全工作的严峻形势和突出问题,深入学习贯彻习近平总书记关于安全生产的重要批示指示精神,深刻吸取松藻煤矿“9·27”重大火灾事故教训,牢固树立安全发展理念。认真落实《地方党政领导干部安全生产责任制规定》,加强组织领导,完善体制机制,确保煤矿安全责任落实到位。要正确处理安全与发展的关系,严格落实“管行业必须管安全、管业务必须管安全、管生产经营必须管安全”的要求,履职尽责。切实强化国有煤矿企业政治担当和责任意识,始终把矿工生命安全放在首位,深刻认识煤矿安全生产工作的艰巨性复杂性紧迫性,不断提升煤矿安全保障能力。对全市煤矿矿级领导开展安全履职大培训大考核,对考核不合格的按规定取消任职资格。
(二)扎实推进煤矿安全专项整治三年行动,努力从根本上消除安全隐患。各产煤区县党委、政府要提高政治站位,强化大局意识,切实加强对煤矿安全专项整治三年行动的统筹领导和督促指导,以推动煤矿安全高质量发展为主线,持续推进煤矿安全治理体系和治理能力现代化。有关部门要加强检查指导和督促,对重点地区、重点企业“开小灶”重点督导,努力解决本地区、本部门的突出和共性问题。持续深化源头治理、系统治理和综合治理,有效化解重大安全风险。煤矿企业要以“从根本上消除事故隐患”为目标,聚焦思想理念、责任落实、规范管理、基础提升、风险防控、灾害治理等重点难点和系统性、深层次问题持续攻坚发力,对单对责、对标对表扎实推进整改落实,不断提升煤矿本质安全水平。
(三)全面落实煤矿企业安全生产主体责任,切实强化煤矿安全管理工作。坚持法治思维,建立“职责清晰、层层负责、人人有责”的全员安全生产责任体系,健全完善“明责、知责、履责、问责”的安全生产责任运行机制。切实强化煤矿安全风险防控,深入开展隐患排查治理,做到全覆盖、无盲区。持续推进煤矿“一优三减”和“四化”建设,单一煤层开采及45万吨/年以下煤矿工作面不超过2个,多煤层开采及45万吨/年以上煤矿工作面不超过3个。加大职工培训和人才培养力度,强化应急处置预案演练,不断加强煤矿安全基础工作。持续深化煤矿瓦斯、水害、自然发火等重大灾害治理,坚决防范遏制煤矿重特大事故。
(四)严格机电运输管理,提升安全保障水平。健全完善机电运输管理制度,严把设备采购、入井检测、安装验收和运行管理关口。加强设施设备检修维护、日常保养、定期巡检、调校试验和隐患排查治理,严防设备“带病”运行。强化标准化动态达标,改善现场作业环境。对大倾角皮带运输从设计源头完善安全防护装置和设施,确保符合规范标准。对长距离、大倾角皮带运输加密布置烟雾、温度、CO等监控预警装置,提高安全保障水平。
(五)加强安全生产监管,进一步提升监管监察效能。牢固树立法治意识,严格履行法定职责。改进工作作风,完善监管方式,提高执法能力,在推进严格、精准执法上下功夫。紧盯企业主要负责人、技术负责人和安全管理人员等“关键少数”,通过现场发现的问题,深挖细查隐患背后存在的深层次问题,综合运用约谈通报、经济处罚、停产整顿、征信体系、联合惩戒、“黑名单”管理、举报查处及奖励等措施,加大行政处罚和追责问责力度,增强监管监察执法威慑力。召开煤矿事故警示教育会,扎实开展以案警示、以案促改工作。持续推动煤矿落后产能淘汰退出,推进煤矿高质量发展,促进煤矿安全生产形势稳定好转。
重庆能投渝新能源有限公司松藻煤矿
“9·27”重大火灾事故调查组
[1] 《安全生产法》第十八条第(五)项 “督促、检查本单位的安全生产工作,及时消除生产安全事故隐患”。
[2] 《重庆市安全生产条例》第十三条 “生产经营单位应当具备法律、法规和国家标准、行业标准或者地方标准规定的安全生产条件;不具备安全生产条件的,不得从事生产经营活动”。
[3] 《安全生产法》第四十三条第一款 “生产经营单位的安全生产管理人员应当根据本单位的生产经营特点,对安全生产状况进行经常性检查;对检查中发现的安全问题,应当立即处理;不能处理的,应当及时报告本单位有关负责人,有关负责人应当及时处理”。
[4] 《重庆市安全生产条例》第二十一条 “生产经营单位应当对生产设施设备进行经常性维护保养,定期检测、检修、更换,做好维护、保养、检测记录,保持安全防护性能良好”。
[5] 《安全生产法》第二十二条 “生产经营单位的安全生产管理机构以及安全生产管理人员履行下列职责……(五)检查本单位的安全生产状况,及时排查生产安全事故隐患,提出改进安全生产管理的建议”。
[6] 《煤矿安全规程》第十七条第一款 “煤矿企业必须建立应急救援组织,健全规章制度,编制应急救援预案,储备应急救援物资、装备并定期检查补充”。
[7] 《生产安全事故应急条例》第五条 “生产经营单位应当针对本单位可能发生的生产安全事故的特点和危害,进行风险辨识和评估”。
[8] 《安全生产法》第二十二条 “生产经营单位的安全生产管理机构以及安全生产管理人员履行下列职责……(五)检查本单位的安全生产状况,及时排查生产安全事故隐患,提出改进安全生产管理的建议”。
[9] 《重庆能投渝新能源公司关于中心桥煤矿“3·28”断带事故处理通报》(渝新能源发〔2020〕170号)“三、防范措施(六)各安全管理中心执法检查时要将钢丝绳芯皮带运输机纳入督查范围……”。
[10] 《安全生产法》第十九条 第二款“生产经营单位应当建立相应的机制,加强对安全生产责任制落实情况的监督考核,保证安全生产责任制的落实”。
[11] 国务院安委会办公室关于重庆能投集团渝新能源公司逢春煤矿“12·15”较大运输事故的通报(安委办〔2018〕112号);重庆煤矿安监局关于盐井一矿“6·5”煤与瓦斯突出事故、逢春煤矿“12·15”较大运输事故的通报。
[12] 《安全生产法》第四条“建立、健全安全生产责任制和安全生产规章制度,改善安全生产条件,推进安全生产标准化建设,提高安全生产水平,确保安全生产”。
[13] 重庆市安全生产委员会关于印发《重庆市安全生产专项整治三年行动实施方案》(渝安委〔2020〕10号)附件5《煤矿安全专项整治三年行动实施方案》第2条“……,准确研判和把握煤矿安全生产形势、特点和规律,深入剖析每一起煤矿事故原因,……,及时堵塞漏洞、弥补缺陷”。
[14] 《安全生产法》第十九条 第二款“生产经营单位应当建立相应的机制,加强对安全生产责任制落实情况的监督考核,保证安全生产责任制的落实”。
[15] 国务院安委会办公室关于重庆能投集团渝新能源公司逢春煤矿“12·15”较大运输事故的通报(安委办〔2018〕112号);重庆煤矿安监局关于盐井一矿“6·5”煤与瓦斯突出事故、逢春煤矿“12·15”较大运输事故的通报。
[16] 《重庆市能源投资集团有限公司二级企业领导人员安全工作问责办法》第四条“有下列情形之一的,对子公司相关责任领导给予通报批评;(一)发生重伤或者重大非伤亡及以上事故”。
[17] 国家煤矿安监局办公室关于印发《落实煤矿企业安全生产主体责任三年行动专题实施方案》(煤安监司办〔2020〕26号)“二(一)2.要坚持安全发展理念,保障煤矿具备法律法规要求的安全生产条件,科学合理向所属各级企业、煤矿下达产量计划和生产经营指标,保证煤矿按照生产能力合法有序组织生产”。
[18] 《国家煤矿安监局关于印发关于煤矿企业安全生产主体责任监管监察指导意见的通知》(煤安监监察〔2019〕26号)“二、检查重点内容和检查方式(七)隐患排查治理制度建立和落实情况。”
重庆能投渝新能源有限公司松藻煤矿
“9·27”重大火灾事故有关责任人员
处理情况
2020年9月27日,重庆能投渝新能源有限公司松藻煤矿发生重大火灾事故,造成16人死亡、42人受伤,直接经济损失2501万元。经事故调查组认定,重庆能投渝新能源有限公司松藻煤矿“9·27”重大火灾事故是一起生产安全责任事故。按照市委工作部署,市纪委监委成立重庆能投渝新能源有限公司松藻煤矿“9·27”重大火灾事故审查调查组,依规依纪依法进行追责问责。
依据《中国共产党问责条例》《中国共产党纪律处分条例》《中华人民共和国监察法》和《中华人民共和国公职人员政务处分法》等有关规定,经批准,对事故中涉嫌违纪、职务违法、职务犯罪的37名公职人员严肃追责问责。按照干部管理权限,重庆市纪检监察机关对重庆市能源投资集团有限公司、市国资委、市应急管理局、綦江区人民政府等单位34名责任人员进行处理,其中4人涉嫌严重违纪违法被纪检监察机关立案审查调查,移送司法机关追究刑事责任,22名公职人员存在失职失责问题给予党纪政务处分,8人予以组织处理。事故涉及的重庆煤矿安全监察局3名责任人员按干部管理权限移送中央纪委国家监委驻应急管理部纪检监察组处理。
一、移送司法机关处理人员(4人)
1. 杨波,重庆能投渝新能源有限公司松藻煤矿机电运输科科长,给予开除党籍、开除公职处分,移送司法机关处理。
2. 邱伍清,重庆能投渝新能源有限公司松藻煤矿党委委员、副矿长,给予开除党籍、开除公职处分,移送司法机关处理。
3. 李其纲,重庆能投渝新能源有限公司松藻煤矿党委委员、矿长,给予开除党籍、开除公职处分,移送司法机关处理。
4. 胡民立,重庆市能源投资集团物资有限责任公司供应部副部长,给予开除党籍、开除公职处分,移送司法机关处理。
二、给予党纪政务处分及组织处理人员(30人)
(一)市管干部(6人)
1. 李文树,重庆市能源投资集团有限公司党委委员、副总经理,给予政务记大过处分,免去党委委员、副总经理职务。
2. 赵自成,重庆市能源投资集团有限公司党委副书记、总经理,给予政务警告处分。
3. 刘德忠,重庆市能源投资集团有限公司党委书记、董事长,给予党内严重警告处分,免去党委书记、董事长职务。
4. 蒋华江,重庆市綦江区人民政府党组成员、副区长,责令向重庆市人民政府作出书面检查。
5. 刘光才,重庆市应急管理局副局长,给予书面诫勉处理。
6. 石继东,重庆市国资委党委委员、副主任,责令向重庆市人民政府作出书面检查。
(二)企业及有关人员(24人)
1. 杨小平,重庆能投渝新能源有限公司松藻煤矿安全副总工程师(兼安全监察科科长),给予留党察看一年、政务撤职处分。
2. 张和栋,重庆能投渝新能源有限公司松藻煤矿党委书记,给予撤销党内职务、政务撤职处分。
3. 陈治昆,重庆能投渝新能源有限公司松藻煤矿党委委员、副矿长,给予撤销党内职务、政务撤职处分。
4. 罗伦忠,重庆能投渝新能源有限公司松藻煤矿机电副总工程师,给予党内严重警告、政务撤职处分。
5. 张国平,重庆能投渝新能源有限公司松藻煤矿党委委员、副矿长、总工程师,给予政务警告处分。
6. 涂兴跃,重庆能投渝新能源有限公司原松藻安全管理中心监管一处副处长,给予党内严重警告、政务撤职处分。
7. 颜学荣,重庆能投渝新能源有限公司原松藻安全管理中心监管一处副处长(主持工作),给予政务降级处分。
8. 张凤芹,重庆能投渝新能源有限公司原松藻安全管理中心党总支委员、副主任,给予政务降级处分。
9. 魏余万,重庆能投渝新能源有限公司原松藻安全管理中心主任,给予政务记大过处分。
10. 杨祖洪,重庆能投渝新能源有限公司党委书记、董事长,给予党内严重警告、政务记大过处分。
11. 李宗福,重庆能投渝新能源有限公司党委副书记、总经理,给予党内严重警告、政务记大过处分。
12. 胡巍,重庆能投渝新能源有限公司机械动力部部长,给予政务记大过处分。
13. 李仁元,重庆能投渝新能源有限公司安全监督管理部部长,给予政务记过处分。
14. 廖业凤,重庆能投渝新能源有限公司机电副总工程师(机械动力部原部长),给予政务记过处分。
15. 许刚,重庆能投渝新能源有限公司党委委员、副总经理,给予政务记过处分。
16. 陈红,重庆能投渝新能源有限公司党委委员、副总经理,给予政务记过处分。
17. 陈朝和,重庆市能源投资集团有限公司安全监督管理部部长,免去部长职务。
18. 江清瑜,重庆市綦江区应急管理局派驻重庆能投渝新能源有限公司松藻煤矿安监员,给予开除党籍处分,解除劳动关系。
19. 马华启,重庆市綦江区应急管理局派驻重庆能投渝新能源有限公司松藻煤矿安监员,解除劳动关系。
20. 李斌,重庆市綦江区应急管理局煤矿安全监管科科长,给予政务警告处分。
21. 苏坚,重庆市綦江区应急管理局党委委员、应急管理综合行政执法支队政委,给予书面诫勉处理。
22. 江宗华,重庆市綦江区应急管理局党委书记、局长,责令向重庆市綦江区人民政府作出书面检查。
23. 王智力,重庆市应急管理局煤矿安全监督管理处处长,给予政务警告处分。
24. 王文,重庆市国资委综合处处长,给予书面诫勉处理。
三、移送中央纪委国家监委驻应急管理部纪检监察组处理人员(3人)
1. 胡建,重庆煤矿安全监察局渝南监察分局安全监察二室主任,给予行政警告处分。
2. 杨明文,重庆煤矿安全监察局渝南监察分局党总支委员、局长,责令向重庆煤矿安全监察局党组作出书面检查。
3. 周毓连,重庆煤矿安全监察局安全监察处处长,在其他安全事故中负有重要领导责任,合并处理,给予行政警告处分。
重庆能投渝新能源有限公司松藻煤矿
“9·27”重大火灾事故审查调查组
来源:重庆煤矿安全监察局网站
本文标题:李其纲-重庆松藻煤矿事故37名公职人员被追责:事故造成16死42伤
本文链接:http://www.hniuzsjy.cn/xinxi/75164.html
声明:本站所有文章资源内容,如无特殊说明或标注,均为采集网络资源。如若本站内容侵犯了原著者的合法权益,可联系本站删除。
